Application and Response

Submitted by lwrawebmaster on Mon, 12/16/2019 - 11:17

In the winter of 2012, the former Walsh property was purchased by Don and Mary Wright, formerly of Bracebridge, and their daughter/ son-in-law, Sam and Emily Jager. Many LWRA members will be familiar with this property as the previous owners graciously allowed the LWRA to use it as the site of the AGM for several years. It lies beside the former residence of Ray and June Jones (which was also sold this winter).

The property had not been used in many years and had two cottages that had fallen into disrepair. The new owners applied for a Minor Variance to the zoning to replace one of former cottages with a new, year-round residence. It is our understanding that the elder couple planned to move into the new home and the younger couple planned to repair the remaining structure to use as a cottage.  

  Below is the text and drawings that accompanied the application:

   HUNTSVILLE COMMITTEE OF ADJUSTMENT
MINOR VARIANCE
APPLICANT: Wright/Jager
APPLICATION NO.: A/16/2012/HTE
ROLL #: 4442 020 023 06300
CIVIC ADDRESS: 844 North Waseosa Lake Road
DATE: June 20, 2012


The property that is affected by this application is described as follows:
Part of Lots 11 and 12, Concession 12
Geographic Township of Chaffey
Town of Huntsville,
District Municipality of Muskoka


The property is zoned Shoreline Residential Five (SR5), and currently is developed with two dwellings. The
applicant is requesting a reduction in the front yard setback to allow for the reconstruction of one single
family dwelling and attached garage, and an increase in primary lot coverage from 5% to 6.3%. The new
dwelling will not be located any closer to the shoreline than the existing dwelling that is to be demolished.
NOTE: The Committee of Adjustment will hear the above application on July 4th, 2012, at 9:00 a.m. in the
Huntsville Council Chambers, 37 Main Street East, Huntsville, at which time the applicant or agent should
appear. Signed, written submissions, for or against, will be accepted by the Secretary-Treasurer of the
Committee for consideration by the Committee.


Chris Marshall
Secretary-Treasurer
Huntsville Committee of Adjustment

Location Map:

Wright/Jager Location Map

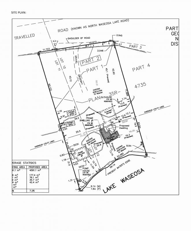
  Lot Plan

Wright/Jager Lot Plan

Justification Letter:

June 4, 2012
Kirstin Maxwell, Planner
Town of Huntsville
(Hand Delivered)
RE: Wright/Jager Minor Variance- 844 North Waseosa Lake Road
Attached, please find a minor variance application for Wright/Jager for a cottage reconstruction of an existing legal non-conforming building located at 844 North Waseosa Lake Road. The property has approximately 53 metres on North Waseosa Lake Road and 56 metres on Lake Waseosa. The area of the lands is 4591.1 m2.
There are two dwellings and other accessory buildings on the site. Access is from a driveway located in the central part of the property. The lands are well wooded and sloped from the road down with level areas where the dwellings are. There is a                     substantial vegetative buffer between the buildings and Lake Waseosa.
It is my client’s intent to remove dwelling 1 (on the east side) and replace it with a new dwelling that is larger yet thinner. The new building will be 177.4 m2. This also includes an attached two car garage.
The rationale for allowing for the redevelopment would be to utilize the area where the current building is located. This would allow for minimal vegetation removal on the site. It will also limit site alteration As part of the approval, a new septic system will be placed in excess of 30 metres back from the water. The outhouse will be removed from the site. It should be noted that the SR5 zoning was implemented prior to further study being done on the water quality objective of Lake Waseosa. This has resulted in a determination that the lake is now moderate sensitivity as opposed to over threshold. The existing building is situated 13 metres from the high water mark. The new building will be pushed back approximately 16 metres with the deck being 14 metres from the high water mark. The proposed dwelling will be set back from the east boundary 16.3 metres which in excess of what currently exists. The attached garage would be located 12.7 metres from the east property boundary, well in excess of the requirements. The variance would also allow for an increase in lot coverage of 7.2%. This would include both principal and accessory structures. It makes sense to combine the structures.

Prior to the zoning by-law being updated the zoning would have allowed for 10% principal buildings and 5% accessory buildings. I have sent a picture from the water to show the extent of vegetative buffer. It is my opinion that the variance is minor and meets the planning tests. Should you have any questions please contact me.
Yours truly,
John P. Gallagher, CPT, MCIP, RPP

The Board of Directors considered this application closely, and were unanimous in finding this application was not "minor". We submitted the following letter in response to the application:

Chris Marshal,
Secretary/Treasurer, Committee of Adjustment
Town of Huntsville
37 Main Street East
Huntsville, Ont.
P1H 1A1

Re: A/16/2012/THE (Wright/Jager)

The Lake Waseosa Ratepayers' Association is not entirely surprised by this application as the property is well known to us. The 2 cottages on the property have sat derelict and unmaintained for many years, home to local wildlife but unfit for human habitation. The septic system was the subject of several complaints over the years, most recently in 2006, and consists of a couple of rusted out metal barrels. So when we learned the property had been sold, we expected they would want to redevelop.

The property itself is challenging. A steep slope descends from North Waseosa Lake Road almost as far as the northernmost garage shown on the applicant's sketch. There is a hydro right-of-way further dividing the useful area (again, shown on the applicant's sketch). It is reasonable to assume that some allowance must be made for the physical circumstances.

The owner (owners actually, apparently this is shared ownership between a couple and their son-in-law/daughter) wants to tear one down and build a permanent residence with an attached 2 car garage. In general principle, this part of the plan is consistent with the current LWRA Lake Plan, as submitted to you last year. The Lake Plan embraces responsible redevelopment and a trend towards permanent residency in the area.

However, there are some major problems with this plan as a whole:

1. Where a non-conforming property use is continuous, the Official Plan provides that the owners are "grandfathered" to tear down the original building(s) and build the replacement(s) on the same footprint and of the same height. To deviate from that is to abandon any and all claims to "grandfathered" status. The current location is far too close to the water for any waterfront zoning (it is less than half of the actual, SR-5, setback requirements and, indeed, is only 75% of even the minimal SR1 classification!).
2. Section 34(9) of the Planning Act limits grandfather provisions to a property that "was lawfully used for such purpose on the day of the passing of the by-law, so long as it continues to be used for that purpose". This property had not been used for any residential or seasonal residential purpose for many years, having fallen into disuse long before the 2008 zoning bylaw was passed.
3. The Official Plan states a clear objective of combining undersized shoreline lots by merging them to create larger parcels.
4. The prior use of this lot was a cluster development on a single lot as defined by the current Official Plan. This is only permitted under certain specified and extraordinary conditions, which this property does not meet. That use is not grandfathered.
5. The SR-5 zoning permits a single detached dwelling per property.
6. The total size of the lot in question is barely large enough to meet the SR1 zoning requirement. It is less than 1/2 hectare, whereas SR2 and 3 require a minimum of 1 full hectare. SR 4 and 5 allow the existing lot size as of the date of passage of the Zoning By-law, but have the greater setbacks to compensate for the impact of the reduced lot size on the lake.
7. The applicant states "the SR5 zoning was implemented prior to further study being done on the water quality objective of Lake Waseosa. This has resulted in a determination that the lake is now moderate sensitivity as opposed to over threshold" as an apparent attempt to justify the substantial deviations being requested. This is simply incorrect. The change of recreational water quality status is reflected by the removal of the "Holding" provisions previously in place. The SR-5 zoning measures remain in place to prevent the water quality from again deteriorating to that dangerous condition, and to help further rehabilitate the deep water quality conditions necessary for the recovery of the native Lake Trout population and reflects, among other things, the fact that the lake has been identified as one of the most over-developed lakes in Huntsville (defined by the number of lots and the surface area of the lake).
8. This application tries to justify the excessive lot coverage of 7.2% where a maximum of 5% is allowed by stating the OLD by-law would have allowed the greater coverage. That is akin to saying the OLD speed limit was 60kph, so no-one must obey a lower speed limit. There is no provision to grandfather unused previously permissible lot coverage as a continuing right and in any event, any grandfathered rights have long since expired.
9. The sketch provided by the applicant shows the new building footprint extending back under the hydro lines. This is illegal under the Ontario Electrical Safety Code.

Divisional Court of the Superior Court of Justice has clearly defined the meaning of "minor variance". To be considered, the variance must be both necessary and minor in terms of nature and magnitude together, the burden of proof lying with the applicant.

The LWRA believes that the application, as it stands, is neither minor in magnitude nor minor in nature. The application completely ignores the provisions of zoning and the underlying rationale behind those provisions. There is an element of necessity in that the buildings, as they now stand, are not likely repairable to an acceptable standard for occupancy and that it would be very difficult to fully meet all zoning requirements given the awkward physical aspects of the property.

In consequence, the LWRA must oppose this application most vigorously. However, we remain receptive to a more suitable plan which would protect the lake to the greatest extent possible while respecting the provisions of the zoning except where absolutely necessary to deviate. In other words, we would be happy to work with the new owners to attempt to come forward to you with a proposal that both protects the lake and accommodates the need to replace the various existing dwellings on the lot with an appropriate new dwelling.

We would like to make the following observations in search for an acceptable plan. A private cabin (commonly called a "bunkie") is a permitted accessory structure, provided the property exceeds 4,000 square meters. That cabin may include toilet facilities, but no cooking facilities. We would suggest that an acceptable plan might incorporate demolition of both former cottages (and other buildings on the site) and construction of a single residence, plus a private cabin of up to the maximum allowed 60 square meters in lieu of the second cottage. Where it is not physically possible to locate the structures at least 30 meters from the high-water line, they should be located as far as possible away from the water by separating the garage from the residence.

The lot coverage provisions should not be exceeded, regardless of what was allowed in the distant past under a completely zoning regime. The tall hill at the rear of the property will ensure the skyline vista is preserved even if the building heights reach the maximum allowed 9m building height. Therefore lot coverage can easily be limited to 5%, while maintaining the desired floor space by building upwards. 3 accessory structures are permitted under in SR-5 zones but the bylaw does permit combined uses, so for example, the Bunkie could be located above a detached garage. Native species of vegetation should be planted as part of the overall site plan agreement and the architecture and exterior finishes should be chosen with the aim to blend the structures into the environment as much as possible.

Attached is a corrected photograph of the waterfront. The one provided in the application showed only the eastern half of the property and included much of the neighbouring property. We are unable to explain how the applicant forgot to include the freshly constructed dock and waterfront activity area on the western half of the property.

One comment with regards to the septic system: the existing system must be reconstructed to comply with at least the minimum acceptable standards, irrespective of any other construction or lack thereof. That the current arrangement has not been pouring leachate into the lake recently is due solely to the fact that these two cottages have sat unused for over 6 years. This requirement is separate and distinct and cannot be considered a "bargaining chip" for the purposes of any desired variances.

It is worth repeating that we understand the need for the new owner to develop this lot. We understand that it may not be possible to do it strictly within the requirements of the zoning around this lake and we would be happy to discuss proposals for the development of the lot with the owners prior to a revised plan being submitted to the Town. As in the past we would support truly minor but necessary, deviations from zoning requirements. We would hope that such an agreement would be possible in this case.

On behalf of the Board of Directors of the LWRA,


Dwayne Verhey, Secretary


cc: John P. Gallagher

 

Two members of the Board also attended the Public Meeting in person. At that time, the Wright's planner stated that they had "received letters of support from the adjacent neighbours, who would be most affected by the proposal". He also stated that the Wrights had been in discussion with Ontario Hydro about moving the power lines. Our presentation reiterated the points in our letter, above. We also asked that the "letters of support" be submitted and suggested it would be appropriate for the Committee of Adjustment to require a firm commitment from Hydro and Bell Canada that they would relocate the services with minimal impact to down-stream customers.  

We have recently receive a copy of these "letters of support". Here they are, in their entirety:

  supposed letters of support

   We note that no mention is made of enlarging the structure, increasing the lot coverage or relocating the utilities.

  Following the AGM, a few area neighbours approached the Board and asked if there was anything further we could do. The newly expanded Board of Directors met and decided to appeal the decision to the Ontario Municipal Board if necessary, but to attempt to work with the landowner to find a reasonable solution as we have with so many other landowners in the past. Accordingly, simultaneous to preparing the appeal documents, we considered various possible scenarios. We had several discussions with the property owner and developed a list of their stated requirements. Even before any mediation meetings, we made the following offer based on those discussions:

July 26, 2012

  

WITHOUT PREJUDICE

  

Mr. Don Wright

c/o 844 North Waseosa Lake Road

RR#3, Huntsville, Ontario

P1H 2J4

  

Re: A/16/2012/HTE

  

Dear Don,-

  

First of all, we would like to express our regret that you feel that you have been caught in the middle of our efforts to ensure the Town of Huntsville enforces its own rules. The Lake Waseosa Ratepayers' Association (LWRA) represents the interests of property owners in the area and we are concerned that redevelopment takes place in a responsible fashion.

  

During recent telephone conversations with you, our Secretary was able to identify the following items as important to you in the redevelopment of your property:

  1. Construction of a new year-round dwelling with a single storey floor
  2. A separate building for your children and co-owners to use seasonally
  3. A clear area suitable for the construction of a new septic system
  4. Retention of the existing southern garage to be converted to a workshop
  5. Retention of the existing northern garage for the storage of your belongings during the construction phase.
  6. Construction of a new 2-car garage.
  7. Retention of a mature pine tree east of the existing outhouse
  8. Containment of costs
  9. Prompt commencement of construction so that you can begin to enjoy your new home.

  

The LWRA has two primary concerns:

  1. Protection of the lake and near-shore riparian zone through compliance to the greatest extent possible with the established and proven protections afforded by setback, lot coverage, and development density limitations expressed in the Huntsville Zoning Bylaw and Official Plan
  2. Forestalling any justification for further lot subdivision by future owners.

  

We believe there is an acceptable solution that achieves all of the above objectives. As shown on the attached sketch, if the proposed new dwelling and garage were separated and the new dwelling - of equal size and orientation - was located as shown in approximately the location you originally proposed for the new garage, west of the existing outhouse and east of the driveway, and at least 3 meters north of the existing primary power lines, the tree would not be impacted and there would be no need to relocate the lines. The enclosed sketch is by way of example only, we are willing to consider any proposal that meets the same objectives.

  

You have indicated that the cost of relocating the power lines alone is $25,000, plus an unknown fee for the relocation of the telephone lines co-located on the utility poles. It has been our experience that there can be a considerable delay when utilities are asked to relocate services, so eliminating that requirement would serve to speed your construction schedule. The savings could then be applied to the construction of a Private Cabin above the new garage, located to the west of the existing driveway, as permitted by the Huntsville Zoning Bylaw.  

  

The Huntsville Zoning by-law provides that a deck of less than 30 square meters may be constructed within the required front-yard setback. Your proposed deck appears to be approximately 26 square meters. The power lines will be clear of the deck as shown in the attached sketch.

  

The existing buildings, save and except the existing southern garage, would be removed, however, the existing northern garage and the western cottage could be retained until substantial completion of the new dwelling. We would require a fixed time limit, and propose that 6 months following the date of first occupancy of the new dwelling is appropriate.

  

The front-yard setback from the lake as shown on our sketch is only 28 meters. We would prefer to see the entire 30 meter setback respected, but can accept that it may not be possible due to the slope north of the building envelope. We would accept that the 2 meter discrepancy meets the definition of a "minor variance". The total lot coverage upon completion would be just less than the allowed 5%. We could not accept any reduction in setback with regards to the septic system. As seen on the attached sketch, there is an ample envelope available that complies with all required septic system setbacks so we do not believe this should be an issue.

  

The applicable Zoning Bylaw limits residential development to a single detached dwelling per lot, and there is no provision for "grandfathering" a discontinued use. With respect to having "two cottages", please be advised that the LWRA will continue to oppose construction of a second dwelling on any one lot.

  

If your family can agree to the above proposal, or something substantially similar, we could draft Minutes of Settlement to close this issue with the OMB and you could proceed with your redevelopment.

  

Finally, in a somewhat unrelated matter, we would urge you to obtain the required permits for such things as a new dock in a Type 1 Fish Habitat. All such work requires a permit from the Department of Fisheries and Oceans. Any work done without the appropriate approvals can result in orders for rehabilitation at your own expense, which would be counter-productive.

  

We look forward to hearing from you,

  

Yours truly,

  

 

Anthony Doob,

President, LWRA

  

Cc: Members of the Board of the LWRA.

Wright/Jager LWRA Proposed Lot Plan

 

  We received the following letter from the landowners:

 

July 31,2012

  

LWRA

c/o 21 Cottage Lane

R.R.#3 Huntsville,

Ontario

P1H 2J4

  

Attn. Mr Tony Doob

President

Mr. Dwayne Verhey

Seceratary

Please forward to all members of the Board

  

Re: 844 North Waseosa Lake Road

Parts of Lots # 11 and 12, Concession 12 Geographic Township of Chaffey

Minor Variance Application A/16/2012/ Wright/Jager

  

Dear Sirs,

  

With respect to the above captioned, we appreciated the opportunity to speak with you regarding your associations issues and objection to the construction of our new home.

  

As you know, we are long time residents of the area and intend for this to be our permanent residence.

Throughout the process, we have complied with all the requirements of the jurisdictions having authority and have the support of the Town with respect to the design and construction of our home.

  

As we intend to be members in good standing of your association, and in an effort to be good neighbours, we are prepared to consider the following compromises in the hopes of resolving this amicably.

  

With respect to your concerns with severing the property, it is not currently allowed under the existing zoning and we do not intend to be in contravention of the Towns Official Plan or it's By- Laws. There have for over 40 years been two dwellings on the property, and this we do intend to maintain.

  

We are prepared to consider the following;

  

  • Removing the said boat house dwelling upon completion of building
  • Maintaining the shoreline as is
  • Relocating the overhead utilities to underground including both bell and hydro
  • Signing any type of document you wish to ensure this property will not be severed

  

We do believe our proposed new dwelling will enhance the local area. As well, our replacement of the existing septic tank and shoreline remediation as required will certainly improve the long term water quality in the immediate area. We are unable to consider any movement of our proposed new structures as the town has already approved of this variance and to do so would require us to begin this entire process all over again.

  

In our opinion this addresses many of your concerns and is a fair and reasonable compromise. As such we respectfully request that you withdraw your objection in writing within 2 business days, failing which we will have no other recourse than to pursue our rights under The Planning Act, including costs.

  

Thanking you in advance for your anticipated cooperation, we remain

  

Yours Truly,

Don and Mary Wright

Sam and Emily Jager

  

The Board of Directors has carefully considered this response, including the implied threat.   We have confirmed that each party to an OMB appeal is responsible for their own costs, unless it can be demonstrated that the action was malicious and spurious. As our action is based on substantial evidence in an effort to protect the rights of all waterfront owners surrounding Lake Waseosa -- and, in a sense, all landowners in Huntsville -- we have no concern regarding any attempt to recoup costs. As our principle concerns with this proposal have not been addressed in substance, we believe it best to proceed to the formal mediation process, where we will again strive to find common ground from which to build an agreement. If we fail at that stage, we are fully prepared to ask the OMB to reject the proposal outright.  

Accordingly, we sent the landowner the following response by e-mail:

Mr. Don Wright,-

Thank you for your letter of July 31,2012, which we read with interest.

As stated in our earlier correspondence, and in our discussions with you, the LWRA believes that the Town of Huntsville through it's Committee of Adjustments made an error in granting the minor variance.   As is LWRA's right, we will appeal the Town's decision to the Ontario Municipal Board.

The proposal contained in your letter does not satisfactorily address the departure from the existing zoning by-laws.   We agree that redevelopment of the property is desirable and we would certainly welcome your participation in the LWRA.   However, the LWRA is of the view that development should conform wherever possible with existing zoning by-laws.   We continue to be open to further discussion.

Sent on behalf of and at the direction of the Board of Directors,

Dwayne Verhey,
Secretary, LWRA

  For your convenience, the official documents referenced in the above communications are available on-line:

Town of Huntsville Official Plan

Town of Huntsville Zoning By-law

Ontario Planning Act

Despite the OMB appeal and our warning that they could be forced to remove any new buildings that do not conform to the results of the appeal, the Wright/Jager family decided to procede with their construction plans. Here are photos of the current (Dec. 2013) state of affairs:

Composite panorama of Wright/Jager property

  Structure identification

 

outbuildings identification

survey stake showing west boundary of property

 

As can be seen from the above photos, the impact of this development will be significant, particularly upon the neighbour's vistas and privacy.

 

General Release